Property List
Alamo
Oak Tree PlazaBerkeley
1095 University Avenue 1200 San Pablo Avenue 1629 San Pablo Avenue 2200 San Pablo Avenue 2435 San Pablo AvenueCeres
Ceres CrossingsConcord
Monument Plaza Oak Grove PlazaEl Cerrito
11795 San Pablo AvenueEmeryville
5895 Christie Avenue 9 Anchor DriveFairfield
1370 Holiday Lane Laurel Creek Plaza Suisun Valley PlaceFresno
Hwy 180 & N Fowler AvenueHercules
Highway 4 Retail Development Sycamore CrossingHollister
Hwy 25 & San Felipe RoadLafayette
3631 Mt Diablo Boulevard Campana Center Lafayette Town Center The NookMoraga
Rheem Valley Shopping CenterMorgan Hill
Cochrane CommonsOakland
2964 Broadway 3726 MacArthur Boulevard College & Claremont One Piedmont Telegraph Avenue Retail – Temescal Temescal PlazaPalo Alto
395 Quarry RoadPinole
Pinole SquarePismo Beach
Pismo Beach Premium OutletsRio Vista
Sunset PlazaRiverbank
Crossroads WestRodeo
I-80 & Willow AveSan Francisco
1101 Market Street 399 Geary Street 500 Pine Street 601 Mission Street 731 Market Street 799 Beach Street 995 Market Street San Francisco Retail BoxesSan Ramon
2525 San Ramon Valley BoulevardVallejo
3678 Sonoma Boulevard Fairview PlazaWalnut Creek
1401 Cypress Street 1406 N Broadway 1530 Bonanza Street 1531 Locust Street 2560 North Main Street Mercer Newell Promenade The WaymarkSunset Plaza
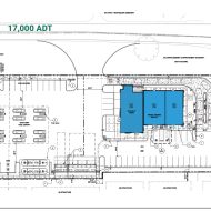
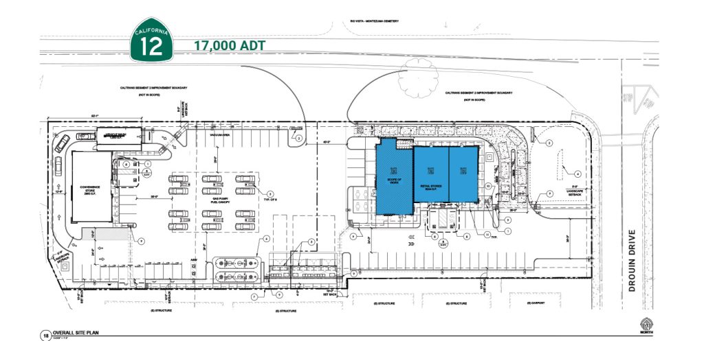
Hwy 12 and Drouin Drive – Rio Vista, CA
Google Map
Photo Gallery
Retail Opportunity
6,244 SF Divisible Space Now Available
2,560 SF – 1,910 SF – 1,578 SF
Sunset Plaza is a planned development located on the Southwest corner of Highway 12 and Drouin Drive. The development will include a new gas station, a convenience store, and 6,244 SF of retail space.
Rio Vista is a significant commuter hub in the Bay Area, with Highway 12 boasting daily traffic counts of 21,700 cars per day.
In addition to being a commuter thoroughfare, Rio Vista’s population has been steadily rising, with an increase in new homes and retail developments.
Just north of the site is a proposed new city that includes jobs, homes, and clean energy that serve all of Solano County. The new city will bring well-paid jobs in new industries, affordable homes, and amenities.
Demographics
| 1-Mile | 3-Mile | 5-Mile | |
| Population | 4,900 | 10,531 | 11,525 |
| Average HH Income | $109,151 | $106,374 | $105,337 |
| No. of Households | 2,020 | 5,087 | 5,500 |
| Daytime Population | 3,436 | 7,930 | 8,456 |
Traffic Counts
| Hwy 12, E of Drouin Dr | 21,700 ADT |
| Hwy 12, W of Drouin Dr | 17,700 ADT |
Contact |
|
| John Cumbelich | 925.546.5153 |
| Joe Cumbelich | 925.546.5161 |


