Property List
Alamo
Oak Tree PlazaBerkeley
1095 University Avenue 1200 San Pablo Avenue 1629 San Pablo Avenue 2200 San Pablo Avenue 2435 San Pablo AvenueCeres
Ceres CrossingsConcord
Monument Plaza Oak Grove PlazaEmeryville
5895 Christie Avenue 9 Anchor DriveFairfield
1370 Holiday Lane Laurel Creek Plaza Suisun Valley PlaceFresno
Hwy 180 & N Fowler AvenueHercules
Highway 4 Retail Development Sycamore CrossingHollister
Hwy 25 & San Felipe RoadLafayette
3631 Mt Diablo Boulevard Campana Center Lafayette Town Center The NookMoraga
Rheem Valley Shopping CenterMorgan Hill
Cochrane CommonsOakland
2964 Broadway 3726 MacArthur Boulevard College & Claremont One Piedmont Telegraph Avenue Retail – Temescal Temescal PlazaPalo Alto
395 Quarry RoadPinole
Pinole SquarePismo Beach
Pismo Beach Premium OutletsRio Vista
Sunset PlazaRiverbank
Crossroads WestRodeo
I-80 & Willow AveRoseville
1089 Sunrise AvenueSan Francisco
1101 Market Street 399 Geary Street 500 Pine Street 601 Mission Street 731 Market Street 799 Beach Street 995 Market Street San Francisco Retail BoxesSan Ramon
2525 San Ramon Valley BoulevardVallejo
3678 Sonoma Boulevard Fairview PlazaWalnut Creek
1401 Cypress Street 1406 N Broadway 1530 Bonanza Street 1531 Locust Street 2560 North Main Street Mercer Newell Promenade The WaymarkThe Waymark
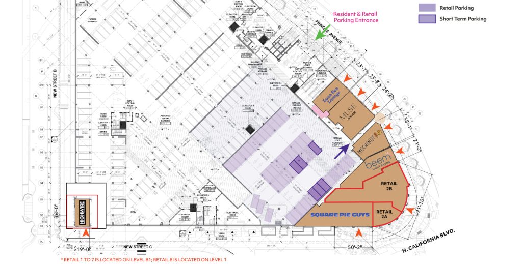
N California Boulevard & Pringle Avenue – Walnut Creek, CA
Google Map
Photo Gallery
Two Spaces Remaining
Prominent Restaurant + Retail/Service/Office Space
Join the great tenant line up at The Waymark – the newest, premier mixed-use transit-oriented project in the East Bay located in the heart of Walnut Creek.
It features 14,000 sf of retail space with high visibility and easy vehicular and pedestrian access.
The project is well-positioned to capture customer traffic from the ±1,629,198 sf of office space within walking distance, the thousands of daily riders on BART and the more than 600 residents that will occupy the 358 “Class A” apartment units in the project.
- Located beneath The Waymark Station District apartments.
- Directly accessible to BART.
- Within walking distance to Downtown Walnut Creek.
- Light filled retail space with floor to ceiling windows.
- Outdoor areas designed for dining and/or display.
- Ample street parking with dedicated short term spaces on ground level of the garage.
Join Highwire Coffee, Luna Sea, Mochinut, Square Pie Guys & Muse Salon!
Demographics
| 1-Mile | 3-Mile | 5-Mile | |
| Population | 20,256 | 113,265 | 230,036 |
| Daytime Population | 37,569 | 126,550 | 223,764 |
| Median HH Income | $117,894 | $129,398 | $132,922 |
| No. of Households | 9,585 | 49,598 | 92,719 |
Traffic Counts
| Ygnacio Valley Rd, E of Oakland Blvd | 65,000 ADT ADT |
| California Blvd, N of Pringle Ave | 36,072 ADT |
Contact |
|
| John Cumbelich | 925.546.5153 |
| Joe Kuvetakis | 925.546.5157 |










