Property List
Alamo
Oak Tree PlazaBerkeley
1095 University Avenue 1200 San Pablo Avenue 1629 San Pablo Avenue 2200 San Pablo Avenue 2435 San Pablo AvenueCeres
Ceres CrossingsConcord
Monument Plaza Oak Grove PlazaEmeryville
5895 Christie Avenue 9 Anchor DriveFairfield
1370 Holiday Lane Laurel Creek Plaza Suisun Valley PlaceFresno
Hwy 180 & N Fowler AvenueHercules
Highway 4 Retail Development Sycamore CrossingHollister
Hwy 25 & San Felipe RoadLafayette
3631 Mt Diablo Boulevard Campana Center Lafayette Town Center The NookMoraga
Rheem Valley Shopping CenterMorgan Hill
Cochrane CommonsOakland
2964 Broadway 3726 MacArthur Boulevard College & Claremont One Piedmont Telegraph Avenue Retail – Temescal Temescal PlazaPalo Alto
395 Quarry RoadPinole
Pinole SquarePismo Beach
Pismo Beach Premium OutletsRio Vista
Sunset PlazaRiverbank
Crossroads WestRodeo
I-80 & Willow AveSan Francisco
1101 Market Street 399 Geary Street 500 Pine Street 601 Mission Street 731 Market Street 799 Beach Street 995 Market Street San Francisco Retail BoxesSan Ramon
2525 San Ramon Valley BoulevardVallejo
3678 Sonoma Boulevard Fairview PlazaWalnut Creek
1401 Cypress Street 1406 N Broadway 1530 Bonanza Street 1531 Locust Street 2560 North Main Street Mercer Newell Promenade The Waymark799 Beach Street
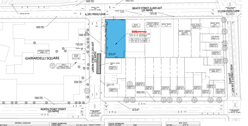
Beach Street & Larkin Street – San Francisco, CA
Google Map
Photo Gallery
±9,233 SF Retail Space
Prime Fisherman’s Wharf-Russian Hill Location
- ±9,233 sf at border of Fisherman’s Wharf and Russian Hill – ideal for attracting both visitors and locals
- Excellent visibility for signage – both building and blade
- Large sunny windows
- Sublease term through January 31, 2033
- Fully built-out as standard retail space
- Next door to 373 space Ghirardelli Square Parking Garage, 120 spot Beach Hyde Garage
Demographics
| .25-Mile | .5-Mile | .75-Mile | |
| Population | 1,973 | 11,185 | 29,229 |
| Average HH Income | $373,209 | $304,265 | $257,153 |
| No. of Households | 1,108 | 6,110 | 15,939 |
| Daytime Population | 2,796 | 8,358 | 18,461 |
Traffic Counts
| Beach St, E of Larkin St | 3,860 ADT |
| Larkin St, S of Beach St | 1,789 ADT |
| North Point St, E of Larkin St | 6,051 ADT |
| Hyde St, S of Beach St | 3,454 ADT |
Contact |
|
| Tim Seiler | 925.546.5156 |
| Joe Cumbelich | 925.546.5161 |







